2790 Bay Rd, Saginaw, MI 48602

2790 Bay Rd, Saginaw, MI 48602
Loading...
Commercial property for sale
- Description
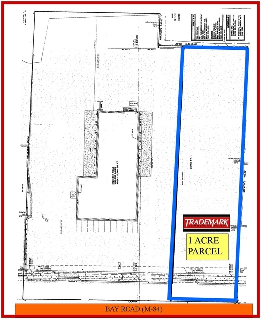
- Parcel Split Pending!! This is a PRIME retail, office or fast food location on M-84 (Bay Road) across from a very busy McDonald's Restaurant in Saginaw Township! Welcome fast food users and developers. The pending split is 1 acre 109'Frontage x 400'. Don't miss this opportunity!! Call Gretchen 989-792-6400 at Trademark Commercial for all the details. Building price details: $190,000.
- Map Locations
- Contact info
-
Gretchen Witherspoon,SIOR,CCIM989-792-6400 [Office]Trademark Commercial Group
- Note
-
Details Info about this row that located on 2790 Bay Rd, Saginaw, MI 48602 was got from trusty sources, but HousesForSaleList.com can't guarantee that details about listing price, status, facts, images and owner are correct, because this listing can be changed or removed from market without notice. If You need to receive additional details about this property try to ask directly listing agent or owned.
If you see any error or mismatches on this page – click here.
- Property Details
-
Property Type: Land Use Types: Hospitality, Office, Retail, Retail-Pad, Self Storage, Other Status: Available Price: $ 190,000 +/Acre MSA: Saginaw-Saginaw Township North Terms: Cash to Seller, Purchase Money Mortgage, Owner Financing, Build-to-Suit, Sale/Leaseback, Other Added: 11/05/2012 Last Update: 08/02/2013